GB
  
You are currently viewing the United Kingdom version of the site.
Would you like to switch to your local site?
2 MIN READ TIME

PLANET EARTH

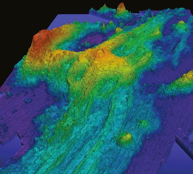
A bathymetric map of the Axial volcano created using sonar

An undersea volcano off the Oregon coast could erupt this year

Did you know?

The first giant isopod was discovered in 1879

An undersea volcano off Oregon’s coast will probably erupt in 2025. The volcano, known as Axial, is a seamount 300 miles west of Cannon Beach, Oregon. The Axial Seamount erupts regularly – it rumbled to life in 1998, 2011 and 2015 – but it doesn’t pose a threat to people. But because of the seamount’s regular activity and its relative proximity to land, researchers made it the site of the world’s first underwater volcano observatory, known as the New Millennium Observatory. Now, the monitors at Axial are showing that the surface of the seamount is inflating, a sign of moving magma that likely presages an eruption, Bill Chadwick, a geologist at Oregon State University who studies the volcano and its nearby hydrothermal vents, reported at the annual meeting of the American Geophysical Union in December 2024. The volcano’s surface has now risen to 95 per cent of what it was before the 2015 eruption.

Unlock this article and much more with
You can enjoy:
Enjoy this edition in full
Instant access to 600+ titles
Thousands of back issues
No contract or commitment
Try for 99p
SUBSCRIBE NOW
30 day trial, then just £9.99 / month. Cancel anytime. New subscribers only.


Learn more
Pocketmags Plus
Pocketmags Plus

This article is from...


View Issues
How It Works
Issue 200
VIEW IN STORE

Other Articles in this Issue


WELCOME
“The technology reads your brain waves and passes this data to a computer”
Issue 200 SCAN HERE TO SUBSCRIBE TO LIVESCIENCE’S
REGULARS
Marine mouthbrooders
© Alamy Taken in the tropical waters off
Cutting through clouds
© NASA A NASA pilot captured this spectacular
Microbiology in your pocket
© Shutterstock What might look like an artist’s
A starshaped city
© Shutterstock In Italy there’s a town built
Invisible ‘flickering’ on the Sun could predict dangerous solar flares
SPACE Showcasing the incredible world we live in
China’s ‘artificial Sun’ shatters a nuclear fusion record
A view of China’s nuclear fusion device at
YELLOWS TONE’S ‘QUEEN OF THE WOLVES’ KILLED BY RIVAL PACK
Yellowstone National Park has lost one of its
The skull of ‘Cleopatra’s sister’ actually belongs to an 11-year-old boy
ARCHAEOLOGY
NEW IMAGES SHED LIGHT ON MERCURY’S NORTH POLE
New photos of Mercury’s mysterious north pole reveal
The ‘Stonehenge’ in the Golan Heights may not be an astronomical observatory
Archaeologists think the oldest parts of the Rujm
THE ESA PLANS TO LAUNCH AN ADVANCED MARS LANDER IN 2035
SPACE
The speed limit of human thought is ridiculously low
Human brains take in sensory data at over
Did our outer ears come from ancient fish gills?
Human outer ears may have arisen from ancient gills,
Anew database reveals how DNA mutations trigger genetic diseases
HE ALTH
SUPERGIANT SEA BUG DISCOVERED IN THE SOUTH CHINA SEA
Scientists have discovered a neverbefore-seen giant sea bug
WISH LIST
The latest GAMING ACCESSORIES
WHAT’S THE OLDEST KNOWN DISEASE?
Amazing answers to your curious questions
THE EXPERTS
ALICE ROBERTS Alice is a TV presenter and author
AMA ZING WORLDS OF SCIENCE FIC TION AND SCIENCE FACT
SCIENCE-FICTION WORLDS LIKE TATOOINE AND ARRAKIS AREN’T AS FAR-FETCHED AS YOU THINK
EATOPEDIA
AN ENCYCLOPEDIA OF HOW ANIMALS EAT, DIGEST AND POO
CRYSTALS, ROCKS AND GEMSTONES
EXPLORING THE MANY SPARKLING TREASURES OF THE EARTH
DON’T SQUISH A SLUG
A WONDERFUL CELEBRATION OF MARVELLOUS MINIBEASTS
IN OUR SOLAR SYSTEM
A COUNTING POEM ABOUT OUR COSMIC NEIGHBOURHOOD
Spot the difference
See if you can find all six changes
MAKE DANCING CORN
This acid-base reaction will make popcorn kernels go crazy
RISEOFTHE ZOMBIES
Dear HIW , There have been many cases of ‘zombie fish’ where I live. What could be a likely cause of this? Could concentrations of tritium in the sea be the cause?
CAPTURING THE NIGHT
Dear HIW , I’m always amazed at the ability of my phone to take pictures at night. Even when I can’t see something, taking a photo in night mode can make the image look like it was taken in daylight. How does this work? Where does the light come from to create the photo?
STAYING HYDRATED
Dear HIW , Do caffeinated drinks dehydrate you? If so, does that mean drinking tea or coffee has the opposite effect to other drinks?
MIC TECHNOLOGY
Dear HIW , How do microphones block out the sound of wind? How does the covering block out one sound but keep the sound of vocals clear?
GYM BEGINNINGS
Dear HIW , When did exercising indoors become popular and when were the first gyms established?
SPECIAL
IS THIS THE HUMAN OF TOMORROW?
HOW WIRES AND CIRCUITS ARE MINGLING WITH BLOOD VESSELS AND NERVES TO CHANGE THE COURSE OF HUMAN EVOLUTION
READING MINDS
HOW THE CONNEXUS DIRECT DATA INTERFACE TAPS INTO BRAIN ACTIVITY TO REVEAL WHAT A PERSON IS THINKING
HUMAN UPGRADES
THESE REAL-WORLD AUGMENTATIONS COULD CHANGE THE FUTURE OF HUMANITY, THOUGH SOME ARE ALREADY TRANSFORMING PEOPLE’S LIVES TODAY
CUTTING WITH CRISPR
HOW ENZYMES OPERATE ON DNA TO ALTER GENES
THE FUTURE OF HUMAN AUGMENTATION
DR DAVID CHENELER, SENIOR LECTURER IN ENGINEERING AT THE UNIVERSITY OF LANCASTER, SHEDS SOME LIGHT ON HOW AUGMENTATION MIGHT ALLOW US TO LEARN MORE ABOUT OURSELVES
ENVIRONMENT
THE WORLD’S WEIRDEST ISLANDS
Travel across the globe with us to discover unique and beautiful lands dotted across oceans and waterways
ANIMAL REFUGE
Discover places where animals dominate the landscape
PREDICTING THE WEATHER
To take an umbrella or not? How we get those all-important forecasts
HISTORY
HOW THATCHED ROOFS ARE BUILT
Learn all about this historic building method that masterfully tops roofs with layers of dry vegetation
HOW THEY’RE LAID
1 FRAMING WITH BATTENS The underlying support
WHY WE HAVE DAYLIGHT SAVINGS
When did some countries start adding and subtracting an hour to their clocks?
SCIENCE
WHAT ARE HEADACHES?
From shooting sensations to dull aches, we explore the many causes of pain around the brain
TYPES OF HEADACHE
Where are the pain points behind the aches?
FOLLOWING THE PHASES
What are the stages of a migraine?
MIRROR PHYSICS
Reflect on the science of light bouncing off smooth and shiny surfaces
HOW LIGH T BOUNCES BACK
Reflective materials bend and manipulate light to produce a mirror image
WHAT IS THE FIBONACCI SEQUENCE?
This mathematical pattern appears in nature, intriguing scientist for centuries
WHY ARE GEMS DIFFERENT COLOURS?
Unearth the gemstone chemistry that results in a spectrum of decorative stones
COLOUR CHEMISTRY
Rare colours and compositions – alongside their hardness rating on the Mohs scale – can be attributed to a gemstone’s chemical composition
SPACE
WHAT IS A QUASAR?
A mystery when they were first discovered, we now know these bright objects are powered by supermassive black holes
THE HUNT FOR FARAWAYMOONS
Astronomers are looking for moons outside our Solar System that may have even more chance of hosting life than the planets they’re orbiting
SCIENCE-FICTION MOONS
Some incredible worlds in the imaginary universe
TECHNOLOGY
INSIDE A BALLPOINT PEN
Discover the mechanism that gives this everyday item the power to write
RISE OF THE ROBOCOPS
Meet the speedy, durable and autonomous robot police forces catching criminals and patrolling pavements
A PLAYSTATION 2?
We crack open this retro console to discover the hardware that made it so popular
TRANSPORT
HOW TRAIN TRACKS ARE LAID
This feat of engineering keeps long carriages in-line and fixed to the ground
INSIDE A NARROWBOAT
All about these lengthy canal cruisers, from boating basics to style specifics
Chat
X
Pocketmags Support